[10000ダウンロード済み√] モッコウバラ 花芽 画像 316098-モッコウバラ 花芽 画像
モッコウバラは普通の薔薇の剪定と 全く違います 普通の薔薇は 冬剪定の後に出た枝に 花芽を付けますが モッコウバラは 5月の花後の剪定のあとに伸びた枝に 花芽がついてしまうので 冬はしっかり剪定はしません シュートなどの乱れた枝を剪定しモッコウバラは冬に剪定&誘引をしない! バラは休眠期の冬に剪定して誘引を行うのが通常ですが、 モッコウバラの場合は冬剪定を行いません。 冬にモッコウバラを剪定してしまうと、 大事な花芽まで一緒に落としてしまうことになるからなんです。バラ苗 白 モッコウバラ 八重 (オールドローズ) ポット苗 白色 強健(苗木部 by 花ひろばオンライン)のレビュー・口コミ情報がご覧いただけます。商品に集まるクチコミや評価を参考に楽しいお買い
モッコウバラの花芽 日当たりでこんなに違います みんなの趣味の園芸 Nhk出版 やっぱり花が好きさんの園芸日記
モッコウバラ 花芽 画像
モッコウバラ 花芽 画像-2 giorni fa · モッコウバラは1期咲で、1年に1回しか咲く時期が来ません(ほかのバラには春と秋の2期咲くものもあります)。 花芽は8月末までに形成されます。 9月以降に剪定するとできた花芽を切り落としてしまうことになるので、剪定は花後から8月までに終わらせましょう。ROSA BANKSIAE モッコウバラは春に花径約2センチのかわいい八重咲きの花を房状に10数輪づつ咲かせます。 とげがなく、病気に強いつるバラなので、 初めての方にも育てやすい品種。 剪定しなくても形がまとまり、狭い庭でも育てられます。 モッコウバラは12月に花芽ができるので、他のつるばら


モッコウバラに花芽が まめ桜の庭
06/05/ · 行灯仕立ての小さな苗 モッコウバラは、私が庭付のマンション1階に引っ越してからはじめて手に入れたバラです。ホームセンターで買い求めたときは、高さ30cm位の小さな行灯仕立ての株でした。 10年以上前に、アーチの上をいっぱいに咲き乱れるモッコウバラを見て以来ずっと、憧れ長尺つるもの:モッコウバラ黄花八重5号ポット長さ12~15mバラの苗 ガーデニング・園芸用品の販売サイト。花 野菜 ハーブ バラ 果樹の種苗、鉢やテラコッタ、道具、肥料と土などの通販。豊富な品揃え。栽培ガイド等01/06/ · #モッコウバラに関する一般一般の人気記事です。' てもモッコウバラは普通の薔薇の剪定と全く違います普通の薔薇は冬剪定の後に出た枝に花芽を付けますがモッコウバラは5 そう言えば「むぎほ」さんのプロフィールの画像もモッコウバラ
モッコウバラはある程度年数を経て成熟しないと花芽が上がってこないこともある そう。 なかなか咲かないことでお悩みの場合は、 樹勢を早く落ち着かせるために肥料を控えたり剪定も控えめにする といいということです。お庭のいたるところで元気な動きがみられるととっても嬉しくなります 花芽 モッコウバラ/白花 10m長尺15cmポット 1本1 画像 をクリックしモッコウバラの育て方 剪定は必要だが、しなかったからといって枯れるわけではない。 通常のバラに比べると育てやすい。初心者向きの園芸材。 開花後に剪定。冬に剪定と誘引。 開花後から9月まで肥料を月二回やる。 新芽はベタベタする(蜜が出ている)。
香りモッコウバラ(カオリモッコウバラ) 6号苗 花芽は夏に形成され、9 商品画像は開花中であっても、撮影日から経過すると開花後の状態であったり、花もない状態、落葉した状態でお送りすることがございます。 4モッコウバラには多くの園芸種があるが、主な種類は以下のとおりである。それぞれ一重咲きと八重咲きとがある。黄モッコウ(ロサ・バンクシア・ルテア)は秋篠宮家第一女子・眞子内親王のお印である。 黄モッコウバラ 一重Rosa banksiae fで Niko さんのボード「モッコウバラ誘引」を見てみましょう。。「モッコウバラ, バラ 庭, 庭のアイデア」のアイデアをもっと見てみましょう。


モッコウバラのある風景 窓からの景色がお気に入りです 花つきの悪い コデマリ も モッコウバラ 窓からの景色 玄関 おうち時間 グリーン マイガーデン ナチュラルガーデン ガーデン ガーデニング 花のある暮らし 春の庭 暮らし おうち 緑 お庭 庭 植物 グリーン


モッコウバラに花芽がついたよ ホホヅエツイテ
モッコウバラ木香薔薇Lady Banks' Rose、Rosa banksiaeはバラ科バラ属の双子葉、常緑、つる性、低木です。モッコウバラの原産は中国西部高原地域で、バラの文化が高い英国で高い評価を得ています。モッコウバラの薄黄色(稀に白色)で上品な花は初夏を告げる花として世界中で親しまれています。モッコウバラは9月前後に次の年に咲く花芽ができるので、 花芽ができる時期に合わせて骨粉や油かすなどの肥料を月に2~3回 施します。 そして、 9月上旬がすぎて4~5月の花が咲く時期までは 肥料を与えるのを一切やめてしまう んです。モッコウバラ 写真素材フォトライブラリーは、日本のストックフォトサイトです。ロイヤリティーフリー画像を販売。動画素材はsサイズすべて無料。 s0円~ id: モッコウバラ 無料 フリー は


モッコウバラの育て方 コツとお手入れ 植え替えや寄せ植えを一挙紹介します Gardenstory ガーデンストーリー


モッコウバラの剪定と誘引 フェンスへの誘引方法や剪定時期は Horti ホルティ By Greensnap
白モッコウバラ。 日照条件の良い他とは比較にならないが、それでも、やっと咲いたウチの子! 15時51分 蔓の最長 4m 15時51分 蔓の最長 4m 黄色い方も花が増えた! モッコウバラとしては貧弱ながら、外から見えるようになっただけまし?で 凛子 ベジタブル さんのボード「モッコウバラ」を見てみましょう。。「モッコウバラ, ガーデン, エクステリア」のアイデアをもっと見てみましょう。


モッコウバラ 木香薔薇 の育て方と花言葉 挿し木や鉢植えの方法は Horti ホルティ By Greensnap


花のある風景 桜の前のモッコウバラ 東京の 猫 花 風景 食べ歩き 写真 Etc


モッコウバラの花芽 Bloom In My Garden ココロにおいしい庭づくり ガーデニングブログ


花芽がついたモッコウバラを誘引しなおし ヤマネケイ Note


白モッコウバラ一重の実と越冬中の花たち 小鳥さんが唄う時


モッコウバラの育て方 モッコウバラの 誘引方法 や 剪定方法 すまいのほっとライン


モッコウバラ の植替えと誘引 一年中 バラと遊ぶページ


花芽がついたモッコウバラを誘引しなおし ヤマネケイ Note


はじめて咲いた花 モッコウバラのフェンス仕立て そだレポ みんなの趣味の園芸


庭の花 ナニワイバラ開花 モッコウバラ 藤の蕾 庭に来た蝶 スジグロシロチョウ ルリシジミ 大分金太郎の花鳥蝶月 楽天ブログ


ロゼットさんのつれづれ日記 モッコウバラの花芽分化始まる


モッコウバラの投稿画像 By Amiさん 植物のある暮らしと手作りの庭とつるバラとガーデニングと花のある暮らしとami S Gardenとバラの地植え 17月3月26日 Greensnap グリーンスナップ


モッコウバラ 木香薔薇 の育て方と花言葉 挿し木や鉢植えの方法は Horti ホルティ By Greensnap


黄モッコウバラの花芽 Korisu


モッコウバラ花散歩


花言葉 モッコウバラの花言葉 L Motehana モテハナ


バラの花図鑑 モッコウバラ は 抜群の花つき 病虫害に強く 枝はしなやか トゲがない バラと小さなガーデンづくり


モッコウバラ ガーデニング


モッコウバラ ガーデニング


モッコウバラ 木香薔薇 の花言葉 種類 特徴 色別の花言葉 Lovegreen ラブグリーン


モッコウバラの剪定 誘引方法は つるバラの適期と違うので注意 バラの育て方と栽培日記 つるバラと宿根草の小さな庭づくり


やっぱりバラの一番花は キモッコウバラ Reon With Lr Roses


モッコウバラのある風景 今年はお家のガーデンエクステリアにトライしたい キナリノ


モッコウバラを剪定してたくさんの花を咲かせよう 剪定方法をご紹介 伐採 剪定間伐 庭木1本からご依頼可能 剪定お助け隊


花芽がついたモッコウバラを誘引しなおし ヤマネケイ Note


モッコウバラの花芽 Bloom In My Garden ココロにおいしい庭づくり ガーデニングブログ


モッコウバラのある風景 今年はお家のガーデンエクステリアにトライしたい キナリノ


白モッコウバラの蕾 Gardeco Japan


モッコウバラの花芽 日当たりでこんなに違います みんなの趣味の園芸 Nhk出版 やっぱり花が好きさんの園芸日記


モッコウバラに待望の花芽が ヤマネケイ Note


初心者にオススメ モッコウバラ 季節を感じる花暮らし


モッコウバラの育て方まとめ 花付きが良くなるモッコウバラの栽培方法 バラの育て方と栽培日記 つるバラと宿根草の小さな庭づくり


モッコウバラの育て方まとめ 花付きが良くなるモッコウバラの栽培方法 バラの育て方と栽培日記 つるバラと宿根草の小さな庭づくり


モッコウバラ ガーデニング


苦節4年 咲かないモッコウバラが開花するまでの道のり


バラの花図鑑 モッコウバラ は 抜群の花つき 病虫害に強く 枝はしなやか トゲがない バラと小さなガーデンづくり


モッコウバラに蕾が ベランダガーデニング ベランダの花日記 1


花が咲かないモッコウバラ 植えて7年位 記録


モッコウバラの剪定の仕方 フェンスへの誘引方法と時期まとめ Horti ホルティ By Greensnap ガーデニングのアイデア モッコウバラ 鉢植え


モッコウバラの育て方 肥料やりのコツ 鉢植えや挿し木の方法は Greensnap グリーンスナップ


白モッコウバラ開花 二年目だとこんなもの か Gardeco Japan


花芽がついたモッコウバラを誘引しなおし ヤマネケイ Note


モッコウバラの育て方 寄せ植えや花言葉など17個のポイント 植物の育て方や豆知識をお伝えするサイト


モッコウバラに花芽がついたよ ホホヅエツイテ


送料無料 モッコウバラ 白花八重3号ポット28株セット バラの苗 園芸ネット 本店 通販 Engei Net


モッコウバラは花後から8月までが剪定の適期 山里の暮らし


モッコウバラの花芽 日当たりでこんなに違います みんなの趣味の園芸 Nhk出版 やっぱり花が好きさんの園芸日記


モッコウバラ 白花八重咲き3 3 5号ポット バラの苗 園芸ネット 本店 通販 Engei Net


モッコウバラを剪定 Shuの花日記


白モッコウバラの投稿画像 By 光さんささん 花のある暮らしと階段 18月4月29日 Greensnap グリーンスナップ


白モッコウバラの蕾 Olive Gardening過去ログ倉庫


黄モッコウバラの投稿画像 By Ema Mamaさん 花芽とグリーンのある暮らしとインテリアと植物と鉢植えと花のある暮らしとグリーン 月3月26日 Greensnap グリーンスナップ


四季咲き白八重モッコウバラ ピューレッツァ Purezza Rosa Banksiae Purezza 21年度新苗予約 お届けは21年5月上旬以降 天空のバラ園 無農薬バラ苗 花苗 クレマチス ハーブ産直販売


黄モッコウバラ 写真素材 フォトライブラリー Photolibrary


Vol 161 初心者にオススメ モッコウバラ アレンジ法や病害虫の対処 Youtube


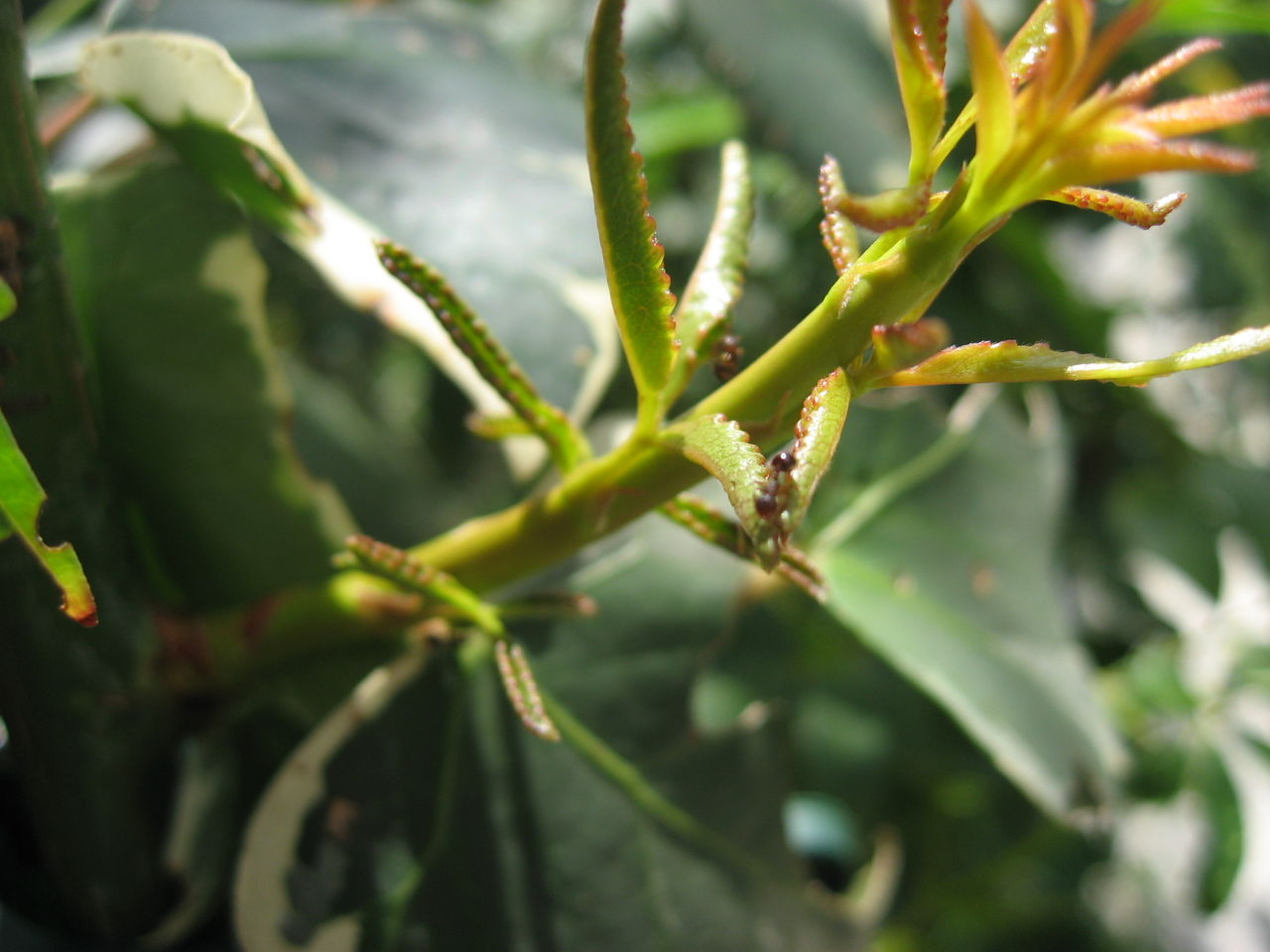
モッコウバラとアリ 花外蜜腺 カガイミツセン の効用 平屋を建てる


モッコウバラとアリ 花外蜜腺 カガイミツセン の効用 平屋を建てる


柴わん小鈴と似たもの夫婦の散歩道 モッコウバラの一番花


白と黄色の花が特徴 モッコウバラについて Greensnap グリーンスナップ


モッコウバラの育て方まとめ 花付きが良くなるモッコウバラの栽培方法 バラの育て方と栽培日記 つるバラと宿根草の小さな庭づくり


すべての花の画像 最高モッコウバラ 葉が落ちる


モッコウバラの花芽 ひだまりの庭 ヒネモスノタリ


モッコウバラ花散歩


甘い香りが漂う花 モッコウバラ の育て方 栽培環境や増やし方を徹底解説 暮らし の


モッコウバラを育てています 植えてから9ヵ月経ちますが これは花芽でしょ Yahoo 知恵袋


白モッコウバラ 八重 バラの庭づくり フラワーワフェル


モッコウバラの育て方 モッコウバラの 誘引方法 や 剪定方法 すまいのほっとライン


モッコウバラに花芽が まめ桜の庭


モッコウバラ 木香薔薇 の花言葉 種類や特徴などもご紹介 Greensnap グリーンスナップ


モッコウバラ 花撮影技術 植物園紹介 花のブログ


楽天市場 白花 モッコウバラ 6号サイズ 鉢植え 鉢花 バラ ばら ボリューム満点 ギフト 販売 通販 種類 母の日 花 ガーデニング岐阜緑園


Amazon Co Jp バラ苗 モッコウバラ 白花 樹高30cm 白色の花が咲くつる性バラ ホーム キッチン


モッコウバラの剪定と誘引 フェンスへの誘引方法や剪定時期は Horti ホルティ By Greensnap


モッコウバラに花芽が 植物 オヤジ


U7jfy5olfgrz2m


モッコウバラ 花後の花がら摘みをする方法 条件付きです


モッコウバラを剪定してたくさんの花を咲かせよう 剪定方法をご紹介 伐採 剪定間伐 庭木1本からご依頼可能 剪定お助け隊


モッコウバラのスクリーン 花の庭づくり 花の庭暮らし


モッコウバラの花芽 日当たりでこんなに違います みんなの趣味の園芸 Nhk出版 やっぱり花が好きさんの園芸日記


Amazon 白い木香バラ シロモッコウバラ ポット苗 花


黄モッコウバラが咲きそう 花壇の花 バラの香る庭へようこそ 楽天ブログ


モッコウバラの育て方 基本の育て方から剪定や誘引 冬越し 花色や香りまで Lovegreen ラブグリーン


黄モッコウバラの投稿画像 By Ema Mamaさん 花芽と黄モッコウバラ とモッコウバラ とグリーンのある暮らしとインテリアと植物とおうち園芸と黄色い 花と鉢植えと花のある暮らしとバラ ミニバラとグリーン 月4月14日 Greensnap グリーンスナップ


Je Ne Sais Quois モッコウバラ 白の庭園 開花


バラの花図鑑 モッコウバラ は 抜群の花つき 病虫害に強く 枝はしなやか トゲがない バラと小さなガーデンづくり


モッコウバラ 木香茨 04 10 1 ディックの花通信


バラのアーチに憧れて


花苗 モッコウバラ 白八重咲き 芳香 開花株6号ポット サザンフィールド オリーブ ユーカリ鉢植え おしゃれな寄せ植えプレゼント販売店


モッコウバラ 木香薔薇 の育て方と花言葉 挿し木や鉢植えの方法は Horti ホルティ By Greensnap


白モッコウバラを庭に植えました ベイサルシュートに蟻が沢山 園芸相談q A みんなの趣味の園芸


ツル性の薔薇のモッコウバラの育て方 コツは剪定と枝の誘因がポイント ガーデニング 趣味時間


黄モッコウバラの投稿画像 By Ema Mamaさん 花芽と黄モッコウバラ とモッコウバラ とグリーンのある暮らしとおうち園芸と黄色い花と鉢植えと花のある暮らしとバラ ミニバラとグリーン 月4月10日 Greensnap グリーンスナップ


モッコウバラは目隠しフェンスとしてオススメ


ぶどう日記 2 白モッコウバラの蕾


38 モッコウバラの育て方 苗の選び方や準備する土 植えつけ方法 誘引 剪定方法などもご紹介 Plantiaq A 植物の情報 育て方をq A形式でご紹介 Youtube


モッコウバラの花芽 ひだまりの庭 ヒネモスノタリ

コメント
コメントを投稿